忍者ブログ
〒294-0031千葉県館山市大賀西台81-17 TEL 0470-22-8861

ファミリーオ館山とは(concept)館山で過ごす、快適時間

[282]  [281]  [280]  [279]  [278]  [277]  [276]  [275]  [274]  [273]  [272
×

[PR]上記の広告は3ヶ月以上新規記事投稿のないブログに表示されています。新しい記事を書く事で広告が消えます。

久しぶりの館山。

海に入らない理由がありません。
むしろ入らなくては!!!笑

日中、お日様が顔を出してくれれば
サーフパンツにTシャツで入れます。(私だけ?笑)

PA060646.JPG

























海にGo-!パドリング!!!
PA060637.JPG

























海上少しウネウネしていましたがパドリング日和。
PA060639.JPG

























キレイだったらもちろん潜りも♪
PA070677.JPG

























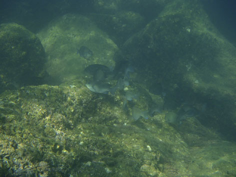
メジナ(オキナメジナ?)が食事中〜群れに群がっています。
PA070691.JPG

























宝石箱やわぁ〜
PA070695.JPG

























このサカナは〝ツノダシ〟
雑食性で主にカイメン類や海藻を食べます。
PA020617.JPG

























〝イシダイ〟(幼魚)
成長すると全長50cmほどにまで。

館山以外にいっぱいいるでしょ〜
この日は少し濁っていましたがそれでもこんなに!
PA060650.JPG

























Yeah☆
PA070684.JPG

























ヨガインストラクターMayuさんも挑戦!
泳ぎに自身のない方のお手本としてPFDを着用してのスタンドアップパドル!
実際も?!泳ぎに自身は?...


聞いてみましょう。笑

PA060659.jpg



































日も沈んできました。。。
海からのファミリーオ。

この日のサンセットは最っっっ高でした☆
PA060668.JPG

























y.yamagishi
PR
この記事にコメントする
お名前
タイトル
文字色
メールアドレス
URL
コメント
パスワード   Vodafone絵文字 i-mode絵文字 Ezweb絵文字
replique montre ballon cartier
cartierbraceletlove io ho provato con tutti e due gli orari e sembrano funzionare entrambi….appena cambi l’ora dovresti vedere la barra che avanza fino a metà… quando si blocca devi cliccare sull’app di pangu ah, come ha detto qualcuno un po’ di commenti sotto, ricordati di disabilitare il codice di blocco e trova il mio iphone, giusto per prevenire complicazioni con il jb e di far partire pangu da windows come admin…
replique montre ballon cartier http://www.orologipopolari.net/fr/
replique montre ballon cartier URL 2016/07/26(Tue)20:31:58 編集
replica bracelet love
I appreciate your continued attention to this topic, and agree you are FINALLY starting to discuss possible solutions, rather than simply continuing to sound the alarm–as necessary as that is. I will have more to say soon about this post, as well as your last two most recent posts on this topic, in the hope you continue to explore possible ways to prepare for the end of “full” employment–including the MANY other alternatives I have previously posted to your site.
replica bracelet love URL 2017/09/09(Sat)20:52:30 編集
imitation van cleef bracelets
Maybe nestled in an nursery that is waiting for it’s holiday ‘arrival’?
imitation van cleef bracelets URL 2017/09/09(Sat)21:29:40 編集
van cleef flower bracelet copy
I just read a site that talks about how much prep goes into a container home. Sand blasting for lead paint and replacing the flooring. The floors are chemically treated for rodents when used for shipping. Also the cost to cut openings, etc. Isn’t cheap.
van cleef flower bracelet copy http://www.vacbra.co/category/van-cleef-jewelry-replica
van cleef flower bracelet copy URL 2017/10/17(Tue)01:57:22 編集
cartier anelli replica
Nice little article. I believe there is one more special case which you’re missing though… if both rectangles are the same size and the same place, I don’t think your code will spot it (unless I ‘m misreading it)
cartier anelli replica http://www.gioiellibuonmercato.org/imitazione-cartier-love-anello-for-maggio.html
cartier anelli replica URL 2017/10/31(Tue)03:49:25 編集
この記事へのトラックバック
この記事にトラックバックする:

Copyright(c)Famirio-Tateyama All Rights Reserved.